Montag, den 03.02.2025 Hamburg – Frankfurt – Singapore
Bei -4° C und mit Raureif bedecktem Rasen verlassen wir mit der DB Hamburg. Der Flug startet am Abend in Frankfurt mit Air Singapore in Richtung Singapore. Nach einem sehr angenehmen Flug mit guter Verpflegung und viel Schlaf wird das Ziel erreicht.






Dienstag, den 04.02.2025: Ankunft in Singapore
Hier ist es schon früher Abend mit sommerlichen Temperaturen und hoher Luftfeuchtigkeit – beides nicht unangenehm. Der Tag ist schon fast vorbei. Der Vorteil: Es müssen nach der langen Reise nur wenige Stunden überbrückt werden, bis das Hotelbett ruft. Das PARADOX – Hotel liegt ganz zentral fast neben der MRT Station NE 5 Clarke Quay.

Der 3-Tagespass für den ÖPNV ist schnell gekauft und das Hotel vom Airport schnell erreicht. Das Hotelzimmer ist gut und es gibt einen schönen Außenpool. Was will man mehr. Chinatown ist nur einen Spaziergang entfernt und lädt zum Abendessen ein. Was für ein schöner erster Abend in Singapore.





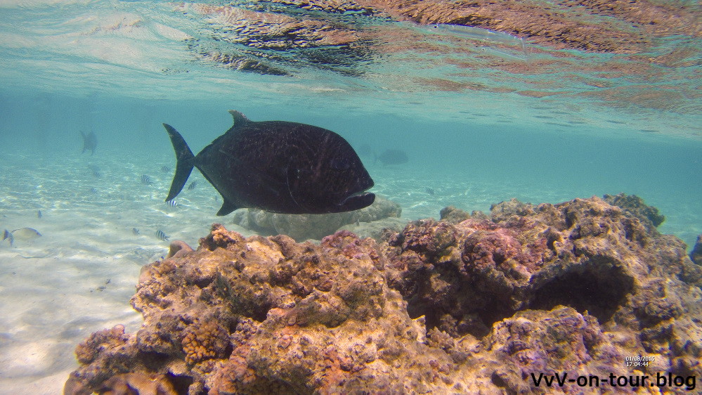
Mittwoch, den 05.02.2025: Singapore – Zoo
Heute geht es in den Zoo. Doch vorher wird das einzigartige Frühstück genossen. So eine Auswahl! Sämtliche europäischen und viele asiatischen Varianten bietet das riesige Frühstücksbüfette. Vom English Breakfast über Dumplings, Currys, ….. unglaublich. Da wird man nicht so schnell wieder hungrig. Die Runde im Pool am frühen Morgen hat zum Glück für Hunger gesorgt.

Mit der MRT kommt man gut zum Zoo. Für das letzte Stück gibt es einen kostenpflichtigen Shuttlebus. Der Zoo ist sehr schön angelegt. Die heimischen tropischen Pflanzen sorgen für eine schöne Atmosphäre. Die Tiere leben überwiegend in offenen Gehegen. Besonders viel Platz haben die Oran Utas, die auch in den Baumwipfeln toben dürfen.


Neuer ist der Bereich der „River Safari“, der auch mit einem eigenen Eintritt versehen ist. Es gibt aber die Möglichkeit, für einen Upgrade. Hier lebt das Panda Paar Kai Kai und Jia Jia und in einem großen Aquarium gibt es mehrere Seekühe zu bestaunen.



Erst lässt sich die Wasserwelt etwas lahm an mit vielen kleineren Aquarien, aber dann wird es doch noch spannend. Eine Nachtsafari wird auch empfohlen, aber der halbe Zoo ist auch so schon gekauft.
„Laksa“ steht heute auf dem Speiseplan. Diese asiatische Nudelsuppe gibt es u. a. auch in China Town. Sie ist sehr lecker und zu empfehlen.

Donnerstag, den 06.02.2025: Singapore
Schwimmen, tolles Frühstück – fast schon Routine. Ein Spaziergang aus dem Reiseführer steht auf dem Programm. Nach ein paar Stationen mit der MRT ist man beim Hort Park – eine grüne Lunge in der Großstadt.




Doch die angepriesene Wanderung durch verschiedene Gärten kann so nicht stattfinden – Instandsetzungsarbeiten der Stahlkonstruktion, auf der man auf Baumwipfel Höhe unterwegs gewesen wäre. Erst bei den Henderson Waves, einer wunderschönen 36 m hohen Holzbrücke, gelingt der Einstieg. Kurzentschlossen wird der Ausflug um die Rundfahrt mit der Seilbahn ergänzt, die am Mount Farber startet.




Sie bringt uns nach Sentosa, eine Insel mit unzähligen Freizeitaktionen, Wasserparks, aber auch einem aufgeschütteten Strand am Meer. Die Füße testen das warme Meerwasser. Die sehr schöne Reise mit der Seilbahn endet beim Einkaufszentrum Vivo City. Dieses hat nicht nur eine schöne Dachterrasse, sondern auch auf dem Dach: Einen richtig schöner Foodcourt mit asiatischen Speisen. Hier geht es am Abend noch einmal hin zum Abendessen.


Wieder werden asiatische Suppen verspeist. Diese sind aber auch köstlich und abwechslungsreich. Ein kulinarisches Erlebnis, das hier mit Einheimischen geteilt werden kann. Viele Touristen trifft man nicht. Zuvor lädt aber der Hotelpool zu einer kleinen, verdienten Pause ein. Wir haben schließlich Urlaub.

Freitag, den 07.02.2025: Singapore und Weiterflug
Heute heißt es: Tschüss, Singapore. So schnell ist die Zeit in der erlebnisreichen Stadt vergangen. Die Tage waren ausgefüllt mit vielen neuen Eindrücken. Eine Stadt, in der die Passant*innen an jeder roten Ampel stehen bleiben und erst bei „Grün“ die Straßenseite gewechselt wird.
Etwas mehr Zeit steht heute für die Morgenroutine und für das leckere Frühstück zur Verfügung. Das Frühstück wird uns in guter Erinnerung bleiben! Der Vormittag reicht noch für einen Besuch von Little India und dem arabisch-malaiischen Kampong Glam mit der Sultans Moschee und ihrem goldenen Dach.





Wie auch schon in China Town taucht man in eine andere Kultur ein. Von dem modernen und sauberen Singapore ist hier nicht viel zu spüren. Nur die Hochhäuser, die diesen Vierteln die Grenzen setzen, erinnern an die moderne Stadt. Man fühlt sich wie auf dem Subkontinent. Es gibt Goldgeschäfte, Tuchhändler, Märkte mit entsprechenden Lebensmitteln und die passenden Restaurants und Imbisse dazu. Im Tekka Centre gibt es einen interessanten Foodcourt mit indischen Speisen.

Leider sind die Mägen voll und es reicht nur für einen Kaffee und einen Mango Lassi. Verzehren kann man bedenkenlos. Auch hier gelten die strengen Hygieneregeln.
Zurück will die Bahnfahrkarte nicht mehr. Die Zeit ist wohl abgelaufen. Ein kleiner Stressmoment, bis das Problem mit dem Nachladen von $ 10,00 in bar behoben wurde. Schnell zum Hotel, die Rücksäcke holen und weiter geht es zum Flughafen. Ein Tipp: Nicht „China Town“ umsteigen. Ein sehr unübersichtlicher Bahnhof.
Pünktlich startet das Flugzeug von Air NewZealand. Auch dieser Flug verläuft ohne Probleme.

Samstag, den 08.02.2025: Ankunft am Ziel: Christchurch
Am Vormittag nach neuseeländischer Zeit – schon wieder sind Stunden verloren gegangen – heißt das Zwischenziel Auckland. Hier wird eingereist. Das geht recht zügig – da hatte man schon anderes gehört. Nur ein niedlicher Hund schnüffelte an dem Gepäck. Zum Glück ging alles schnell bei 90 min. Umsteigezeit und einer Halbtageswanderung zwischen den Terminals. Gerade so geschafft und schon beginnt das Einchecken für den Inlandsflug nach Christchurch.

Dort angekommen bringt uns der „8er“ Bus (nimmt nur cash ) bis fast direkt vor das IBIS-Hotel, in dem zwei Übernachtungen gebucht sind. Das Wetter ist schön – nur etwas kühl mit leichtem Wind. Ein erster Stadtspaziergang wird unternommen entlang des „Avon“, durch Einkaufsstraßen und vorbei an der 2011 vom Erdbeben zerstörten Cathedral, die nun fast wieder aufgebaut wurde. Die chinesische Bevölkerung feiert in einem kleinen Park das Neujahrsfest.






Eine erste Portion Fish and Chips gibt es zur Stärkung.
Die Preise hier entsprechen ungefähr denen, die wir aus Hamburg gewöhnt sind. Eine kleine Pause im Hotelzimmer muss sein nach der anstrengenden Anreise und dann gibt es zum Abschluss des Tages einen leckeren Hamburger. Eine kleine Abwechslung nach der asiatischen Kost der Vortage.
Sonntag, den 09.02.2025: Christchurch
Einem Tipp aus dem Reiseführer ist es zu verdanken, dass ein nettes Frühstückslokal gefunden wurde. Von allein landet man nicht im „Black Betty“. Es ist zwar nicht weit vom Hotel weg, aber dennoch liegt es fast im Industriegebiet. Gestärkt mit leckerem Frühstück kann die Stadtbesichtigung beginnen.

Zuerst die „Ersatz-Cathedral“, die Cardboard Cathedral. Ein Bau aus Pappe – ein Interimszuhause für die Kirchengemeinde. Es geht noch einmal zu der Ruine der Cathedral und dann zum Botanischen Garten. Dieser ist zu empfehlen.




Ein schöner Park mit altem Baumbestand und schönen Beeten und Anlagen entlang dem Avon River. Hier findet man viele schattige Plätze zum Ausruhen oder zum Picknicken. Heute am Sonntag sind viele Familien unterwegs und genießen den sonnigen Sonntag. Das Art Center liegt gleich nebenan.


Was noch fehlt ist ein Supermarkt. Den finden wir am anderen Ende der Hereford Street, an der auch unser Hotel liegt. Mehrfach kommen wir heute daran vorbei – es liegt wirklich im Centrum. Gelegentlich kann dort ein kurzer Stopp eingelegt werden. Der Pick’nSave – Supermarkt ist wirklich riesig. Die Preise sind in etwa wie bei uns. Eine erste Orientierung für unseren Einkauf morgen, wenn wir das Wohnmobil übernommen haben.
Die Stadtbesichtigung endet mit einer leckeren Pizza. Gegen Abend wird es wieder kühl. Die Sonne darf jedoch nicht unterschätzt werden. Ein erster leichter Sonnenbrand hat sich eingestellt.
So, schnell noch die Sachen zusammenpacken, damit wir morgen schnell zur Fahrzeugübergabe kommen und die Rundreise beginnen kann.
Montag, den 10.02.2025: Die Rundreise kann beginnen
Wieder früh aufstehen, das wird langsam zur Routine. Der Bus zum Flughafen fährt um 8.00 Uhr. Das Wohnmobil soll dort schließlich zeitig übernommen werden, damit der Tag noch genutzt werden kann.




Alles verläuft reibungslos und schon bald wird der Supermarkt leer gekauft. Es soll an die Westküste gereist werden in Richtung Hokitika. Doch erstmal frühstücken. Ein netter Parkplatz wird gefunden und gleich können die Vorteile des Reisemobils genutzt werden. Weiter geht’s bis zum Klondyke Corner im Arthur NP. Das reicht für den ersten Tag.

Bei der Inbetriebnahme des Innenlebens vom Wohnmobil gibt es noch einige Hürden zu überwinden: Wie funktioniert was?




Unter einem schlechten Stern steht die Zubereitung des Abendessens. Der Grill hält nicht, was von ihm erwartet werden dürfte. Also kommen die Spieße in die Pfanne. Kaum haben wir mit dem Essen begonnen, fallen die Sandflies über uns her und es hilft nur die Flucht ins Auto. Dann fängt es auch noch an zu regnen – zum Glück sitzen wir schon drinnen. Da wird auch geblieben. Kurze Katzenwäsche in der eigenen Nasszelle und ab ins Bett. Das sind jetzt die Vorteile. Übrigens – kalt ist es auch noch geworden in den Bergen.

Dienstag, den 11.02.2025: Ankunft Hokitika an der Tasmanischen See
Die erste Nacht in Camper war sehr gemütlich und heute klingelt mal kein Wecker. Entsprechend spät starten wir. Auch im Camper muss einiges erledigt werden, bevor es losgehen kann. Betten machen, alles wegräumen, damit es während der Fahrt nicht ins Rutschen kommt. Alles braucht seine Zeit. Nun aber los. Die Fahrt durch das Gebirge und über den Arthur´s Pass hat ein herrliches Panorama. Es lohnt anzuhalten, um den Blick zu genießen. Die erste Begegnung mit den frechen Keas gab es auch schon.

Kai hat schnell das Weite gesucht, um größere Schäden am Auto zu verhindern. Das Wohnmobil kämpft sich die Berge hoch und muss bergab im Zaum gehalten werden. Die Kurvenlage ist gut und so wird Hokitika unbeschadet erreicht.



Schnell wird ein schöner Campingplatz gefunden. Den brauchen wir heute, um unseren Stromvorrat aufzufrischen für die nächsten Tage. Das Fahrzeug an sich steht nicht so romantisch, sondern auf Kies. Der Platz ist aber ganz schön und sauber direkt an einem Fluss.

Auf geht es in Stadt und endlich ans Meer – die Tasmanische See – ein ganz neuer Eindruck. Der Strand ist weitläufig und es hat ordentliche Brandung. Die Wassertemperatur ist aber erträglich, auch wenn es nur mit den Füßen getestet wird. Viel Treibholz liegt am Strand aus dem gerne Skulpturen gebaut werden. So auch der Schriftzug „Hokitika“, der es zu einer Sehenswürdigkeit gebracht hat.



Bis zum Sonnenuntergang dauert es noch. Wie die Zeit verbringen? Da fallen doch gleich die Vorzüge des Hauses auf Rädern ein. Schnell zum Strand gefahren und dort gekocht. Das Abendessen verkürzt die Wartezeit, die sich aber lohnt. Der Sonnenuntergang war das Warten wert! Und jetzt leuchtet auch der Vollmond in ganzer Pracht und die Sterne gehen langsam auf. Was für eine schöne Stimmung :).



Mittwoch, den 12.02.2025: Okarito
Gemütlich geht es weiter zum nächsten Ziel, dem Franz Josef Gletscher, der tatsächlich nach Kaiser Franzl aus Österreich benannt wurde. Die Reise ist heute unser Etappenziel. Schon wenige Kilometer nach dem Start lädt ein schöner Picknickplatz am Lake Mahinapua zur Frühstückspause ein.


An schön gelegenen Sitzbänken am See wird es sich gemütlich gemacht. Eine süße Wekaralle leistet Gesellschaft. Ein kurzer Wanderweg animiert zu einem Spaziergang an eine Badestelle. Der Weg ist sehr schön – wieder durch urigen Regenwald.

Der nächste Stopp ist in Harihari – wieder ein See. In dem kann aber wirklich gebadet werden und das wird ausgenutzt. Zum ersten Mal kommen die Badesachen zum Einsatz und auch gleich die Badeschuhe.

In Okarito wird übernachtet. Ein Campingplatz direkt an der Tasmanischen See. Hier beginnt auch gleich ein Trail auf einen Aussichtspunkt, der sich wirklich lohnt. Die Belohnung ist ein schöner Blick über die ganze Lagune, das Meer und den Wald. Natürlich ist hier auch der Sonnenuntergang ein Highlight. Die Sonne versinkt in dem tosenden Meer und gleich im Anschluss geht der Vollmond auf und wenig später kann ein fantastischer Sternenhimmel mit dem „Kreuz des Südens“ bewundert werden.


Donnerstag, den 13.02.2025: Franz-Josef-Gletscher
Es wird mal am Platz gefrühstückt und wenige Kilometer später wird schon der kleine Ort Franz Josef erreicht, von dem aus unzähligen Aktivitäten unternommen werden können. Doch erstmal einen Übernachtungsplatz aufsuchen und dann den täglichen Einkauf erledigen. Wir haben uns den Campinglatz „Orange Sheep“ ausgesucht. ( Definitiv nicht zu empfehlen!)
Nach superteuren Aktivitäten steht uns nicht der Sinn. Von einem Parkplatz in 5 km Entfernung können diverse Wanderungen auf eigene Faust unternommen werden. Die erste führt zu einem Aussichtspunkt mit Blick auf den Gletscher.

Weiter geht es mit dem Douglas Walk vorbei an dem Peters Pool. Eine abenteuerliche Brücke gehört eigentlich zu einem anderen Trail, aber nur ein kleiner Abstecher ist nötig, um die Hängebrücke zum Schaukeln zu bringen.



Höchstens zu zweit darf die Brücke begangen werden. Der Waldweg führt bis an den Parkplatz zurück. Nach einer kleinen Kaffeepause im Wohnmobil geht es auf den Campingplatz zurück. Aber was ist das? Unser liebevoll ausgesuchter Platz ist belegt! Da hat der Betreiber den Platz einfach anderweitig vergeben und wir sollen uns was anderes suchen!? Der neue Platz ist zum Abgewöhnen. Dieser Platzbetreiber kann nicht weiterempfohlen werden!


Freitag, den 14.02.2025: Fox Glacier
Bis 10.00 Uhr muss der Platz geräumt sein – auch nicht schön. So wird sich rechtzeitig auf den kurzen Weg zum Fox Glacier gemacht. Der Tipp ist, vormittags den Lake Matheson zu umrunden. Zu der Zeit sollen sich die Berge im See spiegeln. Leider gibt es keinen freien Parkplatz. Also erst mal zum Fox Glacier Viewpoint, der direkt beim Parkplatz liegt und einen schönen Blick auf den Gletscher bietet.


Hier wird auch gefrühstückt. Auch hier werden weiter Trails angeboten mit schönen Aussichtspunkten. Als erstes wird ein weiterer Versuch gestartet, den See zu umrunden. Tatsächlich hat das Interesse abgenommen und es gibt freien Parkplätze. Der Rundweg durch den Wald bietet schöne Aussichten auf See und Gebirge.



Die Wälder sind hier einzigartig mit den Baumfarnen, verwunschenen Bäumen und der üppigen Vegetation.
Das Café am See wird im Reiseführer angepriesen und ausgetestet – das haben wir uns verdient. Eisschokolade, Eis Latte und der Kuchen sind zu empfehlen.


Die schöne Aussicht von der Sonnenterrasse gibt es dazu. So, nun zum einzigen Lebensmittelladen im Ort. Große Auswahl hat der kleine Markt nicht. Zum Glück wird nicht viel gebraucht. Weiter geht es zur nächsten Wanderung: Fox Glacier South Side Walkway mit einem wirklich romantischen Loop, dem Moraine Walk. Dieser kleine Abstecher hat sich sehr gelohnt. Auf einem schmalen Pfad geht es durch ein Waldstück, in dem man Hobbits vermuten könnte.


Nun wird es Zeit, einen Übernachtungsplatz zu finden. Nach einigen Kilometern in Richtung Haast führt die Straße wieder an das Meer und ein toller Parkplatz – Bruce Bay -, auf dem schon einige Wohnmobile stehen, taucht auf. Was für ein herrlicher Platz zum Bleiben. Hier kann auch vorsichtig gebadet werden. Durch eine vorgelagerte Sandbank ist das Wasser lange flach und die Wellen sehr moderat. Endlich geht es in die Tasmanische See und es kann das erste Mal ganz freistehend übernachtet werden.


Sonnenuntergang und Sternenhimmel sind auch ein Traum. Morgen Vormittag erwarten wir Unsere Tochter, die zu uns stoßen wird für einige gemeinsame Tage.



Samstag, der 15.02.2025

Frühstück mit Meerblick und ein erfrischendes Bad im Meer – das ist Urlaub. Am späten Vormittag kommt unsere Tochter mit einem amerikanischen Begleiter – Garth. Noch mal ein zweites Frühstück für die Beiden und dann geht´s weiter. Nächste Station: Haast. Hier lohnt kein längerer Aufenthalt. Ein Tankstopp genügt. Das heutige Ziel heißt Wanaka. Auf dem Weg dorthin gibt es einige schöne Fotostopps mit Wasserfällen und kleinen Wanderungen dorthin.


Kurz vor Wanaka am Fluss mit Bademöglichkeit gibt es einen schönen Platz für Camper, der sehr günstig ist. Hier wird übernachtet.
Sonntag, den 16.02.2025
Der See ist sehr erfrischend und bietet sich für ein bisschen Morgensport an. Zumal es hier keine Duschen gibt. Bevor die Reise weitergeht, wird noch der Mt. Iron bestiegen. Eine nette kleine Wanderung, auf der die vom Berg die Aussicht genossen werden kann.


Kurz vor Queenstown finden wird übernachtet – wieder auf einem günstigen Platz an einem Fluss, der aber sehr reißend ist und somit nicht zum Baden geeignet. Eine kleine Wanderung auf den Spuren des 45 sten Breitengrad ist hier noch ein Zeitvertreib. Sonst bietet die Umgebung nicht viel. Wir hatten versäumt, für Queenstown einen Holiday Park vorzubuchen.

Für die nächste Nacht steht die Reservierung auf einem der Plätze dort. An den Preisen wird gleich erkannt, dass Queenstown der Touristenmagnet ist mit den ganzen Freizeitmöglichkeiten, die von dort unternommen werden können.
Montag, den 17.02.2025: Queenstown
Oh je, in der Nacht schlägt ein Magen-Darm-Virus zu und unsere Tochter und ich sind zunächst außer Gefecht gesetzt. Was nun? Auf diesem Platz möchten wir nicht bleiben. Schaffen wir die letzten Kilometer bis Queenstown? Kai fährt den Camper und mir geht es von uns Beiden kranken Hühnern besser, so dass ich mir zutrauen, den Toyota von unserer Tochter ans Ziel zu bringen. Gerade so eben haben wir es geschafft, auf den vor gebuchten Platz zu kommen, da ist die Kraft auch schon wieder am Ende. Wir zwei legen uns gleich wieder hin und Kai erobert die Stadt allein.




Gefallen tut sie nicht wirklich. Wenn man dort nicht ist, um aufregende Abenteuer zu buchen und zu unternehmen, dann bietet Queenstown nicht viel. Am Abend kann dann doch eine Runde durch die City unternommen werden. Die Lage am Lake Wakatipu ist sehr schön mit einer lebhaften Promenade. Fast jede teure Marke ist hier zu finden. Die vielen Köstlichkeiten können heute nicht verführen.
Dienstag, den 18.02.2025: Queenstown und Weiterreise
Am Morgen noch mal schnell in die City, damit auch unsere Tochter noch einen Blick in die Stadt werfen kann. Auf dem See ist schon viel Betrieb. Die Schnellboote nehmen pausenlos Passagiere auf, die schnelle Pirouetten auf dem Wasser drehen wollen. Die Aussicht auf die Berge begleitet uns auf unserer Fahrt nach Te Anau. Kurz hinter Te Anau wird die Nacht auf einen DOC-Campingplatz am Lake Te Anau im Fjordland National Park verbracht. Schon auf dem Weg zum Milford Sound.



Es ist hier gleich kühler und regnerisch. Trotzdem lädt die See Lage zu einem Spaziergang ein. Zum Baden ist er eher nicht geeignet. Das Wasser ist sehr wild und hat viel Strömung und der Strand ist sehr steinig. Es wird noch schnell eine Schifffahrt auf dem Milford Sound gebucht. Die Gefahr, keine Fahrt mehr zu bekommen scheint recht groß. Laut Internet sind viele Touren schon ausgebucht und dann wird noch eine Tour auf einem kleinen Schiff ergattert – jedoch schon um 8.45 Uhr. Die Anreise dauert 2 Std. – also früh aufstehen!
Mittwoch, den 19.02.2025: Milford Sound
5.30 Uhr – der Wecker klingelt, doch nun ist Kai krank. Damit nicht drei Tickets für NZ $ 500,00 verfallen, machen unsere Tochter und ich uns noch bei Dunkelheit und bei Nieselregen auf den Weg. Es gelingt noch während der Fahrt, die Tour auf den nächsten Tag umzubuchen. Der Mirror See wird noch besucht und später wird die Zeit genutzt, den Lake Te Anau zu umrunden. 4,5 Stunden hat die fast 23 km lange Umrundung gedauert. Besonders der letzte Teil war sehr schön bewaldet.



Donnerstag, den 20.02.2025: Milford Sound
Der Wecker klingelt heute eine Stunde später, aber immer noch früh um 06.30 Uhr. Zum Glück fühlen wir uns heute alle in der Lage den ersehnten Ausflug anzutreten.

Beim Start um 7.0 Uhr ist es schon hell. So kann gleich von Beginn der Anreise das Bergpanorama genossen werden. Wenig später geht die Sonne auf und die Berggipfel werden leuchtend rot angestrahlt. Die Straße wird immer kurvenreicher bis hin zu Serpentinen. Ein Tunnel und viele „One lane bridges“ müssen durchfahren bzw. überquert werden.


Zum Glück gibt es noch einige freie Parkplätze für 10 NZ$ die Stunde. Rechtzeitig wird der Hafen erreicht und schon beginnt die Reise auf einem gemütlichen Schiff. Es ist nicht zu groß und nicht zu voll. Alle haben ausreichend Platz, um schöne Fotos zu schießen. Die Aussicht ist überwältigend – die Stimmung im Fjord ganz besonders. Wasserfälle schießen von den Bergen, der Wind kommt aus allen Richtungen.

Die Sonne scheint und taucht alles in ein herrliches Licht. Seelöwen aalen sich auf einigen Felsen. Alle diese fantastischen Eindrücke können gar nicht im Foto festgehalten werden, sondern müssen als Erinnerung gespeichert werden. Viel zu schnell ist die Fahrt zu Ende.






Ein kleiner Spaziergang schließt sich an und schon muss die Rückreise von 100 km angetreten werden. Heute muss die Reise noch in Richtung Dunedin fortgesetzt werden, sonst wird die Zeit zu knapp für alle schönen Dinge, die noch bestaunt werden wollen. Am Übernachtungsplatz der letzten beiden Nächte zurück müssen wir uns von unserer Tochter verabschieden. Sie möchte noch den Milford Sound Treck wandern. Für diese einzigartige Wanderung gab es noch kurzfristig die Möglichkeit. Die Anzahlt der Wanderer auf diesem Treck ist limitiert.

100 km vor Dunedin in Balclutha geht die Reise heute zu Ende. Ein netter, wenn auch nicht herausstechender Campingplatz wird angesteuert. Ein guter Ausgangspunkt, um morgen Vormittag wieder auf Entdeckungsreise zu gehen.
Freitag, den 21.02.2025: Dunedin und Otago Peninsula
Mit Dunedin wird auch die Ostküste und Otago erreicht. Doch erst morgen soll ein kurzer Abstecher in die schottisch anmutende Stadt unternommen werden. Einige Gebäude dort sollen sehenswert sein. Für heute stehen Natur und Tiere auf dem Programm. Dies alles findet man auf der Halbinsel Otago Peninsula. An keinem anderen Ort der Welt sind die Brutplätze von Albatrossen so dicht an Siedlungen und damit gut zu besuchen, wie hier.





Der Königsalbatros hat hier seine Nistplätze. Auf dem Taiaroa Head gibt es ein Schutzgebiet und es können Führungen im Royal Albertross Centre gebucht werden. Mit 60 NZ$ ist man dabei. Nach einem kurzen Spaziergang den Berg hinauf können aus einem kleinen Gebäude (damit die Vögel nicht gestört werden) die Albatrosse bewundert werden. Z. Zt. gibt es Küken, die gelegentlich aus dem Nest lugen. Ein Elternteil bewacht die Kleinen und das andere fliegt unentwegt über das Meer, um frischen Fisch zu besorgen. Ein großartiges Erlebnis, die riesigen Vögel beim Flug zu beobachten. Landen und wieder starten will aber leider keins der Tiere. Schade, denn für den unbeholfenen Start und die Landung sind diese weltbekannt. Kein Wunder, dass die Albertrosse sich damit schwertun. Nicht nur, dass sie eine Spannweite von 3 m haben, sie sind auch über 80 % ihres Lebens in der Luft unterwegs. Da fehlt ihnen schlicht die Übung.



Es gibt hier noch andere Raritäten, nämlich die Gelbaugen-Pinguine. Die werden beim Pinguin Place gefunden. Eine 1,5-stündige Führung – auch für 60 NZ$ – führt durch tunnelartige Gänge an den Nistplätzen der Pinguine vorbei. Später geht es in Richtung Strand, wo auch noch einige Pinguine in den Nistkästen sitzen. Leicht zu entdecken sind die 70 cm kleinen Tiere nicht.


Interessanter sind dann doch die Seelöwen, die sich auch hier auf den Felsen sonnen. Zum Schluss werden zum Glück doch noch drei watschelnde Pinguine entdeckt, die scheinbar aus dem Meer gekommen sind und sich nun in Richtung Strand aufmachen wollen. Für Handyfotografen ist es schwer, hier die Eindrücke im Foto festzuhalten. Besser ist eine Kamera mit Teleobjektiv. Zum Schluss geht es noch in einen kleinen Bereich, in dem sich pflegebedürftige Pinguine aufhalten. Hier können noch ein paar Fotos aus der Nähe gemacht werden.
Es gibt hier auch noch kleine blaue Pinguine, die bei Sonnenuntergang mit Glück auch ohne Eintritt am Strand der „Sandfly Bay“ gesichtet werden können. Dahin kommen wir leider nicht mehr, da wir unseren bereits eingenommenen Nachtplatz auf einem kostenfreien Stellplatz aufgeben müssten und ihn bestimmt nicht wieder bekämen. Diese Campingmöglichkeit ist sehr nachgefragt mit den wenigen Stellplätzen. So wird hier der Nachmittag verbracht.

Es gibt erste Angelversuche und einen kurzen Strandspaziergang bei Sonnenuntergang, denn der Strandabschnitt ist nur kurz. Zum Trost war am Abend ein Seelöwe zu Gast in dieser kleinen Bucht, um sich kurz zu erholten, bevor es wieder ins Wasser ging.



Samstag, den 22.02.2025: Dunedin und Weiterfahrt nach Christchurch
Noch mal kurz an der Sandfly Bay vorbeischauen, bevor es weiter geht. Der Weg dorthin ist kurvenreich und steil auf einer sehr schmalen Straße. Die Fahrt wäre gestern in der Dunkelheit eine große Herausforderung gewesen.

Pinguine sind dort nun erwartungsgemäß nicht mehr zu sehen. Es ist aber ein schöner Ort mit Aussichtspunkt und der Möglichkeit für einen kleinen Strandspaziergang. Die Zeit nehmen wir uns nicht. Weiter geht es in die City von Dunedine. Einen Parkplatz zu finden, fällt nicht schwer. Die alten Gebäude sind leider von höheren modernen Bauten eingekreist worden, was diese nicht zur Geltung kommen lässt. Die Cathedral ist sehr schön – auch von innen. Schlicht mit schönen Fenstern. Ein Juwel ist der Bahnhof.






Noch ein kleiner Bummel durch die Einkaufsstraßen und ein gutes Frühstück gibt es in einem Café.


Jetzt wird es Zeit für die Weiterfahrt. Nach einigen Kilometern in Moeraki liegen die sagenumwobenen Boulders am Strand und laden zu einem Spaziergang ein. Eine echte Attraktion, wie man am großen Parkplatz mit Restauration erkennen kann. Schön sind nicht nur die fast runden Steinformationen, die im seichten Wasser und am Strand liegen, sondern auch wieder der herrliche Blick über das Meer. Hier an der Ostküste ist es der Pazifik.




Morgen wollen wir in Kaikoura Wale beobachten. Schnell verbuchen, bevor es womöglich keinen Platz auf dem Schiff gibt. Für die letzte Fahrt um 16.00 Uhr wird noch einer ergattert. Und …. es gibt unterwegs endlich mal wieder Fish und Chips. 50 km vor Christchurch wird die Fahrt auf einem Campingplatz für heute beendet.
Sonntag, den 23.02.2025: Kaikoura
Es regnet … heute fast den ganzen Tag. Die Strecke bis Christchurch ist recht langweilig. Es reihen sich die Weingüter aneinander, aber der Wein wird hier auf Feldern angebaut. Erst hinter Christchurch wird es wieder bergig und etwas interessanter. Kurz vor wird noch eine Frühstückspause eingelegt. Angekommen, wird erstmal die Reservierung gecheckt. Hat alles funktioniert. Ganz außergewöhnlich: Es wurde ausnahmsweise der VIP-Bereich gebucht, damit die Sicht auf den Wal ungetrübt sein wird, wenn er sich denn blicken lässt.
Mit leichter Verspätung geht es los. Erstmal mit dem Bus. Die VIP-Passagiere mit einem Kleinbus. Am Schiff angekommen, haben wir exklusiv das Oberdeck für uns. Reserviert für 12 Passagiere, aber heut gibt es nur 5 VIP-Gäste.

Die Schifffahrt beginnt rasant mit dem Katamaran. Die Kapitänin erzählt, dass sie die Wale durch deren Klicklaute ortet. Nach einiger Zeit wird angehalten und alle dürfen raus, da sich eine Walsichtung andeutet. Wir warten gespannt. Die Zeit wird durch einige Albertrosse verkürzt.

Die Riesenvögel zeigen ihre Flugkünste über dem Meer und tauchen gelegentlich ab, um sich mit einem Fisch zu stärken. Wenigstes gibt es Albertrosse und andere Seevögel zu sehen. Nun soll es eine andere Ortung geben. Neuer Versuch. Abruptes anhalten und raus und …. nur wenige sehen eine halbe Flosse und etwas Gischt. Warten. Tatsächlich es tut sich etwas.


Der Pottwal erscheint. Grauer Wal in grauer See ist etwas schwierig zu sehen, aber die Fontäne entlarvt ihn. Dann ist es so weit: Er möchte wieder abtauchen und erhebt seine riesige Schwanzflosse aus dem Meer. Darauf haben alle gewartet und die Mission ist erfüllt.

Nun soll es noch Delfine zu sehen geben. Kurz vor der Küste wird eine riesige Delfinschule gesichtet und die sind richtig fröhlich.




Es wird gesprungen und gejagt. Hier zuzusehen ist fast besser als die Begegnung mit dem Wal. Einige Delfine sind voller Lebensfreude und springen wie die Verrückten aus dem Wasser. Leider geht die schöne Fahrt zu Ende. War zwar ein teurer Spaß, aber es hat sich gelohnt. 4 km weiter wird eine Campingmöglichkeit angefahren bei einer Farm auf der Wiese.

Es gibt nur Trinkwasser, sonst nichts weiter. Die Lage ist direkt am Meer. Leider ist es bewölkt. Kein Sonnenuntergang und keine Sterne.
Montag, den 24.02.2025: Von Kaikura nah Nelson
Gefrühstückt wird Sealpoint ohne Seelöwen 2, 3 km von unserem Übernachtungsplatz entfernt. Hier gibt es eine wunderschöne Aussicht und Toiletten.

Gestärkt führt die Fahrt durch Weinanbaugebiete. Weinfelder säumen die Straße. Eine Weinprobe bietet sich nicht an. Wie soll man dann weiterfahren? Irgendwie nicht durchdacht. Im Supermarkt kann zum Glück auch Wein aus dieser Gegend gekauft werden.

Zwei Flaschen werden eingepackt. In Havelock hätte man Muscheln essen können, doch das Restaurant öffnet erst um 4.30 Uhr. Es ist etwas anstrengend mit der Gastronomie in Neuseeland. Entweder haben die Restaurants schon geschlossen oder noch nicht geöffnet. Stattdessen gibt es ein Eis. In Nelson sind wir wieder am Meer. Der Campingplatz auch.




Die Lage lässt man sich bezahlen. Es bleibt noch Zeit für einen kleinen Ausflug an den Strand und ein Bad im Meer. Nach dem Essen – heute gibt es frischen Fisch und Bratkartoffel – lockt der Strand zu einem Spaziergang. Langsam gehen die Sterne auf und der Sternenhimmel ist wieder so schön. Die Sonne ist allerdings hinter den Bergen untergegangen.
Dienstag, den 25.02.2025: Von Nelson nach Kaiteriteri
Gefrühstückt wird mal am Platz. Wenn es schon Strom gibt, kann auch der Toaster mal zum Einsatz kommen und der Wasserkocher. Rührei gibt es auch. Die Eier werden schon seit Christchurch durch die Gegend gefahren. Doch zuallererst geht es ins in die wohltemperiert Tasmanische See. Es geht nichts über ein Morgenbad im Meer. Das ist Urlaub.
Die Fahrt ist nicht besonders aufregend. Am Ziel fällt der Blick gleich auf eine fantastische Badebucht, dem Golden Beach.

Das erkannt man sofort: Der Sand ist von gelbgoldener Farbe. Hier ist der richtige Ort, um den Tag und die Nacht zu verbringen. Einen Strandtag gab es auch noch nicht. Der Campingplatz liegt gleich an der Bucht und Restaurants gibt es auch. Heute sollen mal Fisch und Muscheln gegessen werden. Schließlich ist hier die Heimat der Greenlipmussel. Eine kleine Wanderung bietet sich aber auch an. So ist der Tag schnell gefüllt und schon wieder vorbei. Die Zeit läuft rasend schnell.


Mittwoch, den 26.02.2025: Kaiteriteri bis Picton
Wetterwechsel auf der Weiterreise. Am Morgen ist es erst ein bisschen frisch, aber Badewetter. Dann kommt die Sonne zum Vorschein und es wird angenehm warm.

Schade, dass die Goldbay verlassen werden muss. Doch zuvor wird die Mission der Wandergruppe erfüllt. Wer wird in diesem Jahr am weitesten von zu Hause weg sein und dort einen „Crazy Hiking“ Sticker verewigen? Das sind doch wohl wir. Nicht weit entfernt vom Campingplatz ist ein schöner Ausguck mit Wegweiser in alle Himmelsrichtungen für verschiedenen Orte. London ist 18.000 km entfernt.
Da kommt der Sticker hin! Gleich mit Beweis für die Entfernung. So, nun geht es nach Picton, um dort die Fähre auf die Nordinsel zu erreichen. Es fühlt sich nach Abschied an. Es war so schön auf der Südinsel und es gab viel zu erleben und es würde auch noch viel Schönes zu sehen geben. Doch leider sind sogar 2 Monate Langzeiturlaub für Neuseeland zu kurz, um noch mehr in das Landesinnere vorzustoßen. Die Fahrt ist langweilig. Die schönere Küstenstraße kann nicht genommen werden, weil dort eine Baustelle sein soll – so die Information vom Fährenoffice, die uns per E-Mail erreicht hat. Nun geht es durch Weinberge – zwei Flaschen Wein werden noch beim Winzer gekauft – durch Apel- und Hopfenplantagen bis zum Zielort. Äpfel können auch noch erstanden werden. Im Anbaugebiet gibt es immer mal wieder Offerten für Produkte von Erzeugern. Picton ist auch nicht besonders aufregend. Ein Stellplatz für die kurze Nacht wird auf einem Parkplatz am Nelson Square gefunden. Dort stehen bereits viele PKWs, die sich dort wohl auch die Zeit vertreiben, bevor es auf die Fähre geht. Wir müssen morgen früh um 6.30 Uhr dort sein und stellen den Wecker auf 5.30 Uhr. Was für eine Zeit.
Der Stellplatz lädt nicht zu verweilen ein und auch nicht für die Zubereitung des Abendessens – also noch mal in ein Restaurant. Das Essen ist hier scheinbar immer gut und reichlich und die Preise sind in Ordnung. Es gibt eine Fischplatte und einen Fischburger.


Die Nacht ist kurz und laut. Starten doch immer irgendwelche LKW zu den unterschiedlichen Abfahrten der Fähre. Wohnen möchte man hier nicht, aber für eine Nacht ist das in Ordnung.
Donnerstag, den 27.02.2025: Picton nach Wellington – oder nicht?
Keine Überraschung – der Wecker klingelt früh. Es ist noch dunkel. Schnell aus dem Bett gehüpft, Katzenwäsche und los. Nur wenige Minuten ist der Fährterminal entfernt. Doch wo genau ist der Check-In ? Ein Büro des Fähranbieters „Blue Ferry“ wird gefunden. Doch was für eine Enttäuschung: Die Fähre fällt aus. Sie ist gar nicht erst angekommen wegen eines Defektes. Hilfreich sind die Mitarbeitenden nicht. Umbuchen geht nicht. Der Ratschlag: Sich an die Konkurrenz zu wenden. Die haben mehr Kapazitäten. Die Stimmung ist zunächst auf dem Tiefpunkt. Schnell online buchen. Vielen geht es schließlich so wie uns. Zwei Plätze für morgen 6.30 Uhr sind noch zu haben – schnell zugreifen! Hätte man vielleicht doch lieber die Fähre um 9.00Uhr versuchen sollen – ein bisschen entspannter? Nun ist es zu spät. Morgen also noch früher aufstehen.
Was mit dem Tag anfangen? Er soll nicht verloren sein. Der Queen Charlotte Drive soll sehr schön sein. Eine Panorama-Route zurück nach Hemlock. Die Fahrt ist tatsächlich wunderschön bei bestem Sonnenschein. Unterwegs wird mit einer traumhaften Aussicht auf den Grove Arm gefrühstückt und sich von dem Schrecken erholt.




In Havelock wird auch noch einiges schönes entdeckt, das beim ersten Besuch nicht aufgefallen war. Es gibt einen sehr schönen Yachthafen, der zum Spazierengehen einlädt.


Zur Krönung können noch frische Greenlipp-Mousells eingekauft werden für $ 5,00 das Kilo. Das Essen für morgen ist gesichert. Zurück in Picton noch schnell einkaufen und auch hier wird am Yachthafen ein schöner Ort zum Entspannen gefunden. Alles ist vorhanden: Badesteg, Wanderwege sind nicht weit, Grill, Toilette.


Hier wird auch das Abendessen vorbereitet und später geht es auf unseren hässlichen Stellplatz der letzten Nacht zurück, von dem aus es am Morgen schnell zur Fähre geht. So ist der Tag nicht verschenkt, sondern es wurde noch viel Schönes entdeckt.
Freitag, den 28.02.2025: Von Picton über Wellington nach Foxton Beach
Pünktlich um 6.00 Uhr morgens sind wir wieder am Fährhafen, doch keine Fähre weit und breit. Uns ist ein Irrtum unterlaufen. Nicht 6.30 Uhr wurde gebucht, sondern 18.30 Uhr. Noch ein Tag in Picton? Zum Glück gelingt eine Umbuchung auf eine Fähre um 8.00 Uhr. Der Spaß hat noch einmal NZ $ 100,00 Umbuchungsgebühr gekostet.




Die Überfahrt durch den Marlborough Sound ist wenigstens sehr schön und im bei Tageslicht. Mit Wellington werden wir nicht richtig warm. Es liegt wohl daran, dass wir uns zu wenig Zeit genommen haben für die Stadt. Nach dem „verlorenen Tag“ fehlte wohl die Geduld, noch mehr Zeit aufzubringen.




Übernachtet wird auf einem Campingplatz an der Foxton Beach.
Samstag, den 01.03.2025: Von Foxton Beach nach Tongariro
Das großartige an Neuseeland: Am Morgen wird noch im Pazifik gebadet und abends sitzt man unter Vulkanen. Wo gibt es sonst noch so etwas. Die Fahrt heute war hauptsächlich Reisezeit mit wenigen Ereignissen. In Whanganui wird eingekauft. Irgendetwas fehlt immer. Der Ort ist hübsch und liegt am Fluss, der auch Namensgeber ist. Der Markt dort geht leider gerade zu Ende.
Auf der Weiterfahrt gibt es noch einige sehr schöne Aussichtspunkte auf die beeindruckende und sich ständig verändernde Landschaft. Es gibt noch einen kleinen Wasserfall auf dem Weg und eine interessante Eisenbahnbrücke.



Übernachtet wird auf einem Kiwi-Camp. Davon gibt es mehrere. Diese Plätze sind recht günstig. Der Platz ist umgeben von dem Bergpanorama der Vulkane. Zum Schluss gibt es noch einen schönen Sonnenuntergang zu bewundern, der die Berge zum Leuchten bringt.
Sonntag, den 02.03.2025: Tongariro Nationalpark
Hier ist ein guter Ort, um auch mal den Sonnenaufgang zu bewundern. Um 7.02 Uhr soll es so weit sein. Es ist kalt, aber es lohnt sich um 6.45 Uhr parat zu stehen, um das Schauspiel zu bewundern. Kaltgefroren geht es mit einem heißen Tee noch mal kurz ins Bett.


Heute soll gewandert werden. Unsere Tochter hat das „Tongariro Crossing“ empfohlen. Eine der beliebtesten Wanderungen in Neuseeland.



Die 18,5 km lange Wanderung führt über den Sattel zwischen dem Mt. Ngauruhoe und dem Mt. Tongariro durch eine Vulkanlandschaft voller Krater und dampfender Täler.



Es gibt heiße Quellen und in allen Grün- und Blautönen leuchtende Seen. Die ersten 5 km sind moderat. Dann weist eine Rangerin aus Pappmaché darauf hin, dass es nun anstrengend wird. Die Steigungen haben es schon in sich. Der Weg ist überwiegend gut ausgebaut und zum Teil mit Stufen terrassiert. Die machen es nicht unbedingt leichter.







Es muss schon mal zum Verschnaufen angehalten werden. Die Blicke sind immer toll – auch mal zurückschauen – es lohnt sich. Nach 10 km werden die Kraterseen erreicht. An vielen Stellen entweicht Wasserdampf. Einfall fantastisch. Alle 5 m denkt man, es sieht noch toller aus! Fotos über Fotos werden geschossen. Es wird auch noch ein Aufkleber angebracht an diesem schönen Ort. Doch, wie sich später herausstellt nicht regelkonform. Es hätte ein Selfie sein müssen :(. Naja, nun klebt er da am vielleicht schönsten Ort. Zurück geht es überwiegend bergab. 7 Std. dauert die Wanderung incl. Fotostopps und kleiner Mittagspause. 6 – 8 Std. sollte man rechnen, also just in time.
Die Bergwelt kann aber auch mit weniger Anstrengung genossen werden. Von Whakapapa kann ein Sessellift auf den Mt. Ruapehu genommen werden. Oben angelangt kann im höchstgelegensten Café Neuseelands eine Tasse Kaffee genossen werden. Im Nationalpark gibt es bei Whakapapa noch einige nette Trails zu entdecken, ohne auf Gipfel steigen zu müssen. Kai hat auch noch einen schönen Wasserfall entdeckt.




Das Wetter war ein echter Glücksfall. Strahlendblauer Himmel den ganzen Tag. Keine Wolke hat die Aussicht behindert. Über das Wetter konnte bisher nicht geklagt werden. Am Abend wird es schon kühl und oft windig, aber damit kann man gut leben.
Montag, den 03.03.2025: Tongariro Nationalpark bis Rotorua
Entspannt geht die Reise los. Auf dem Kiwi-Stellplatz dürfte man bis um 12.00 Uhr bleiben und muss nicht wie auf den meisten Plätzen schon um 10.00 Uhr das Weite suchen. Gemütlich kann das Toast verspeist werden, denn es gibt tatsächlich auch Strom und das alles für eine Grundgebühr von $ 5,00 p. P. Auf dem Weg gibt es einiges zu entdecken. Einen schönen Ausguck über die fantastische Landschaft, die sich schon bald wieder völlig geändert hat.

Ein Wegweiser verspricht „Hot Pools“. Das mit dem heißten Thermalwasser gespeiste Schwimmbecken wird nicht genutzt, aber es gibt hier einen sehr schönen Rundweg – vorbei an blubbernden Schlamm und dampfende Teiche, die heißer sind als das Wasser in einer Badewanne wäre. Sehr schöne Fotomotive.





Schon bald wird Taupo erreicht. Der Taupo Lake ist der größte See Neuseelands. Der Ort ist ein kleiner Touristenort mit vielen Restaurants und angebotenen Aktivitäten. Die Promenade am See ist sehr schön. Es gibt als kleine Stärkung Fisch und Chips in einem netten Lokal mit Seeblick.


Wenige Kilometer weiter sind die Huka Falls – ein sehr schöner Wasserfall und einen Stopp wert. Die Huka Falls sind nicht sehr hoch, aber der längste Fluss Neuseelands, der Waikato, muss sich hier durch einen schmalen Spalt von nur 15 m Breite zwängen. Normalerweise ist er 100 m breit und 4 m tief. Gerade starten vier Wildwasser-Paddler und sausen die Stromschnellen und dann auch noch den Wasserfall runter. Sehr eindrucksvoll, die Aktion zu beobachten.



Rotorua und alles, was dazugehört soll morgen entdeckt werden. Kurz hinter dem Ort gibt es wieder einen Kiwi Platz direkt an einem See. Er ist sehr einfach, aber die Lage ein Traum. Gleich mal ein Bad nehmen.
So, und wann ist jetzt die beste Gelegenheit, in das Hobbiton zu gehen? Wir sind schon dicht dran. Übermorgen vielleicht? Alles ausgebucht und die Tage danach auch! Ein Traum droht zu zerplatzen. Doch tatsächlich gibt es noch Tickets für morgen! Schnell umgeplant und gebucht. Nun geht es morgen erstmal zu den Hobbits und die geothermischen Attraktionen werden auf übermorgen verschoben. Der Tag endet mit einer sternenklaren Nacht. Es gelingen einige Fotos von den Sternen und sie laden noch zu einem kleinen Spaziergang ein.
Dienstag, den 04.03.2025: Hobbiton
Der Tag startet entspannt. 13.30 Uhr wird angepeilt für den Besuch bei den Hobbits. Ein erfrischendes Bad im See ist ein Genuss und dient auch gleich der Reinlichkeit. Die Fahrt nach Matamata zur Hobbiton Movie Set Tour ist bis auf ein paar Baustellen ereignislos.


Vor Ort lädt das Shires Rest Café zu einer kleinen Erfrischung ein. Rechtzeitig beginnt die Tour zunächst mit einer kurzen Fahrt im Reisebus zum Start. Die Gruppen werden von einem Guide durch Hobbingen geführt. Die Hobbits leben sehr reizvoll. Das liebenswerte Dorf besteht aus den Erdhöhlen. Die Hobbits haben gepflegte Gärten, Obstbäume und Gemüsebeete. Die Wäsche hängt ordentlich auf den Leinen. Schornsteine rauchen, es steht alles zum Angeln bereit. Eine schöne Dorfgemeinschaft, die sich auf das Erntedankfest vorbereitet. So würde wohl jeder gerne wohnen.





Ein Haus darf auch betreten werden. So heimelig! Die Hobbits leben gemütlich in ihren Höhlen.



Zum Schluss gibt es ein Getränk im Gasthof zum grünen Drachen und die Tour ist nach 2,5 Std. vorbei. Es hat sich gelohnt.

In der Nähe befindet sich die Wairere Falls. Mit 153 m Höhe sind sie die höchsten der Nordinsel. Noch ca. 45 min. Fußweg soll ein Aussichtspunkt erreicht werden. Keine Erwähnung findet, dass der Weg sehr anspruchsvoll ist. Natürlich bergauf, aber auch über Stock und Stein. Zum Teil sind Treppen angelegt worden, aber dann verliert sich der Weg auch gelegentlich. Schnaufend wird der Aussichtspunkt erreicht und Bilder werden gemacht.



Zurück ist auch nicht ohne, aber nicht mehr ganz so anstrengend. Nach den ganzen Strapazen und auch weil es spät geworden ist, geht es ausnahmsweise zu Taco Bell zum Essen.

Mittlerweile hat es angefangen zu Regnen. Wie gut, dass alle Unternehmungen bei gutem Wetter stattfinden konnten. Es geht zurück auf unseren Stellplatz der vergangenen Nacht am Boyes Beach. Schnell noch recherchieren, wo morgen am besten die geothermalen Besonderheiten erlegt werden können und ab ins Bett.
Mittwoch, den 05.03.2025: Rotorua und Umgebung
Der erfrischende See kann noch einmal genossen werden, obwohl es ein kühler Morgen ist. In der Nacht hat es heftig geregnet. Das erste Ziel ist das „Buried Village“. Die kleine Siedlung Te Wairoa wurde 1886 beim Vulkanausbruch des Mt. Tarawera von Geröll und Asche verschüttet. Dort gab es schon seinerzeit ein Hotel und Touristen, die von den rosa- und weißschimmernden Sinterterrassen am Ufer des Rotomahana Sees angezogen wurden. Auch diese Naturphänomene gibt es nicht mehr. Heute ist dort ein Freilichtmuseum, das Reste der Siedlung und viele Erklärungen zeigt.




Zur Krönung gibt es auf dem Gelände auch noch einen wunderschönen Wasserfall, der leicht zu erreichen ist. Nun soll einer der Parks besichtigt werden, der die geothermalen Aktivitäten der Umgebung zeigt incl. dem Geysire. Hier gibt es nur geführte Touren für stolze 95,00 $ p. P. – darauf verzichten wir. Gibt es doch ganz in der Nähe einen schönen öffentlichen Park, den Kuirau Park.




Dort brodelt und dampft es auch an jeder Ecke und zum Schluss können die Füße noch in ein sehr warmes Thermalbecken getaucht werden. Nun fehlt noch das Wai-O-Tapu Wonderland.




Auch hier brodelt, qualmt und zischt es und der nun schon bekannte Schwefelgeruch ist unverkennbar. Die größte Sehenswürdigkeit: Der prickelnde Champagne Pool. Das Wasser des Sees blubbert wie Sekt und das Farbenspiel ändert sich laufend je nach Sonneneinfall. Das Grün des Sees und die roten Ränder – beides sind viele Fotos wert. Der längste Rundweg dauert ca. 1,5 Std. und das Naturschauspiel ist sehr beeindruckend.



Der Park schließt leider schon um 16.30 Uhr. Gerade so geschafft. Es diese Einrichtung kostet Eintritt: 45,00 $ p. P. Nicht sehen werden wir den Geysire Lady Noxe. Der wird jeden Morgen um 10.15 Uhr mit Hilfe von Waschmittel in Bewegung gesetzt. In der Nähe gibt es einen Campingplatz mit Hot Pools bei Waikite Valley.


Ein Bad in heißen Quellen gehört einfach dazu. Das praktische: Für Campingplatznutzer sind diese inkludiert. Das ist doch ein geeigneter Ort für die heutige Übernachtung. Bis 20.00 Uhr können die Pools genossen werden und das wird ausgenutzt. Eine Stärkung gibt es vom Imbiss am Platz und so ist auch schon das Abendessen geregelt. Am Abend und in der Nacht wird es richtig kalt.
Donnerstag, den 06.03.2025: Coromandel – Hot Water Beach
7,5 °C sind am Morgen im Camper. Da möchte man unter der Bettdecke bleiben. Die Pools müssen aber noch einmal genutzt werden und sind zum Glück kuschelig warm bis heiß. Nur das Anziehen der kalten und nassen Badesachen ist eine Herausforderung.

Es reicht noch nicht mit den heißen Quellen, die Neuseeland bietet. Es geht jetzt an die Ostküste der Coromandel Peninsula zum Hot Water Beach. Hier gibt es nur teure Campingplätze, aber dafür liegt der Platz „Top 10“ nicht so weit vom Strand entfernt und hat auch noch einen Pool. Die Löcher, die am Strand gegraben werden, um ein heißes Bad zu nehmen, können nur 2 Std. vor und nach dem Niedrigwasser angelegt werden.





Bei Flut ist kein Strand da, um es sich in einem heißen Pool gemütlich zu machen. Also gleich los zum Strand. Die Zeit passt gerade. Es ist gar nicht so leicht, eine geeignete Stelle zu finden. Zum einen sind schon viele Badegäste dort und nicht an jeder Stelle ist angenehmes warmes Wasser. Mal ist es zu kalt und dann wieder viel zu heiß! Endlich ist ein geeigneter Pool gegraben, da schwappt schon auflaufendes „kaltes“ Meerwasser in das kleine Becken. Der Nachbarpool wird aufgegeben und von uns besetzt. Ohh, ist es hier heiß! Hier läuft ständig heißes Wasser nach. Das auflaufende Wasser beendet das Vergnügen und es geht am Platz noch in das Schwimmbad. Nun ist das Abendessen verdient. Auch hier wird es wieder schnell kalt. Sobald die Sonne untergegangen ist, wird es ungemütlich und ein kalter Wind stellt sich ein.
Freitag, den 07.03.2025: Hot Water Beach bis Coromandel Town
Die Möglichkeit in einem Swimmingpool zu schwimmen als Morgensport ist immer ein Genuss, wenn auch nur wenig Zeit dafür bleibt. Dafür geht es noch einmal an den Hot Water Beach, auch wenn die Zeit für ein Bad im heißen Pool verstrichen ist. Um kurz nach 7.00 Uhr war die low Tide. Es ist aber auch ein Genuss, an diesem schönen Strand ein bisschen spazieren zu gehen und sich dann in die Wellen zu stürzen. Vorsicht ist jedoch geboten – auch hier wird vor der starken Strömung gewarnt.


Weiter geht es zur Cathedral Cove. Eine sehr schöne Bucht mit beeindruckenden Felsenformationen. Der Weg dorthin ist beschwerlich. Vom Parkplatz fährt ein Shuttelbus für 7,00 $ bis zum Anfang des Wanderweges. Dann geht es eine gute halbe Stunde überwiegend bergab bis zur Bucht. Der Strand und die Felsen sind den Aufwand aber wert.




Ein anstrengender Rückweg gehört dazu. Der Umweg zum Cook Beach wird ausgelassen und weiter gehts nach Coromanel Town. Dort gibt es zwei kostenlose Übernachtungsmöglichkeiten, die aber insgesamt nur 10 Stellplätze umfassen. Um 18.00 Uhr sind diese besetzt. Als wieder auf einen kostenpflichtigen Campingplatz, der ca. 7 km von der kleinen Stadt entfernt am Wasser liegt. Wenigsten gibt es hier einen schönen Sonnenuntergang zu bewundern und die Wäsche kann mal wieder gewaschen werden.


Samstag, den 08.03.2025: Coromandel bis hinter Auckland – Whangaparāoa
Coromandel Town wird kurz besichtigt. So viel gibt es aber nicht zu sehen. Doch kleiner Markt wird entdeckt. Der Obst- und Gemüsevorrat kann aufgefrischt werden: Es gibt Orangen – die hatten wir noch nicht – und Avocados. Weiter geht es die Küste entlang – eine sehr schöne Strecke. Was wird noch entdeckt? Eine Austernfarm mit einem Restaurant und der Möglichkeit, frische Austern zu kaufen. 12 Austern werden mitgenommen und diese sind zum Glück auch schon geöffnet. Eine Spezialität dieser Region sollen auch geräucherte Muscheln sein. Die können dort auch eingekauft werden. Das hat sich doch gelohnt. Am Nachmittag wird das heutige Ziel erreicht. Ein Parkplatz, auf dem umsonst übernachtet werden kann. Er liegt an einem Yachthafen am Meer.

Es ist sehr windig. Baden kann man dort nicht wirklich. Der Nachmittag wird zum Angeln genutzt – leider ohne Erfolg – und zum Joggen. Das ist in diesem Urlaub bisher zu kurz gekommen. Zum Abendbrot gibt es die leckeren Austern und die Muscheln mit Maiskolben und einen leckeren Obstsalat. Es wird noch die Bootstour zum Hole in the Rock gebucht

Sonntag, den 09.03.2025: Whangaparāoa bis Paihia – Bay of Islands
Auch Friedensreich Hundertwasser hatte sich in Neuseeland verliebt und war zuletzt sogar neuseeländischer Staatsbürger. Dem kleinen Ort Kawakawa hat er eine öffentliche Toilette spendiert. Ein Touristenmagnet.





Auf dem Weg in den Norden von Neuseeland muss hier angehalten werden. Auf dem Weg können noch die Whangarei Falls besucht werden. Diese liegen fast am Parkplatz in einer Grünanlage. Dort kann auch wunderbar gefrühstückt werden. Der Übernachtungsparkplatz lud nicht zum Frühstücken ein – das wird hier nachgeholt. Die Fahrt durch die Bay of Islands führt an hübschen Küstenabschnitten vorbei mit schönen Blicken auf die Küste und das Meer. In Paihia angekommen finden wir einen günstigen Campingplatz im Zentrum. Nicht besonders luxuriös – eher ein bisschen schmuddelig, aber er hat alles, was man benötigt. Eine schöne Bar direkt am Wasser offeriert ihre Happy Hour.

Eine gute Idee, um den Sonnenschein und die schöne Umgebung zu genießen und nach der Anreise ein wenig zu entspannen. Wegen der zentralen Lage des Übernachtungsplatzes kann alles zu Fuß erledigt werden. Darum gibt es nach dem Abendessen auch den ersten Cocktail in diesem Urlaub in einer Cocktailbar.


Montag, den 10.03.2025: Bootstour zum Hole of the Rock
Ein Loch in einem Felsen von Wellen umtost ist heute der Anlass für diese ganztägige Bootstour: Cream Trip Super Cruise. Um 10.00 Uhr geht es los. Die Tour führt durch die Inselwelt vor Paihia bis zum berühmten Hole of the Rock.



Manchmal fahren die Boote auch durch das Loch durch, aber heute ist das Meer zu unruhig. Bei schneller Fahrt schaukelt es auch ordentlich und die Gischt erreicht das Oberdeck. Das Wetter ist aber wieder fantastisch: Sonnenschein und angenehm warm. Zur Mittagszeit gibt es eine längere Pause auf der Insel Urupukapuka zum Lunch oder Picknick, zum Wandern oder zum Baden.

Auf der Tour gibt es endlich mal einen Leuchtturm zu bewundern. Leuchttürme sind auf Neuseeland scheinbar eine Rarität. Es gibt höchstens Leuchtfeuer auf Felsen. Ein besonderes Erlebnis war das „Boom Netting“.

Wer wollte, konnte sich in ein Netz legen und wurde vom Schiff durch das Wasser gezogen. Natürlich mit ordentlich Fahrt. Das war ein besonderer Spaß! Die Tagestour hat sich auf alle Fälle gelohnt. Ein schöner Urlaubstag, der wieder mit einer sternenklaren Nacht endet. An den Sternen kann man sich hier gar nicht sattsehen.
Dienstag, den 11.03.2025: Paihia bis Cap Reingar
Der Tag sollte mit der Vergangenheit der Maori starten. Die Waitangi Treaty Grounds sind gleich um die Ecke. Der Eintritt von $ 70,00 p. P. schreckt uns jedoch ab. So geht es gleich ein kleines Stück weiter zu den Whangaroa Falls. Die Falls sind nicht so spektakulär, liegen aber auch gleich an der Straße.

Die Fahrt entlang der Küste ist lohnend. Am Cable Beach lacht der Ozean so verlockend, da muss einfach spontan gebadet werden.

Der nächste Halt ist am Cap Reinga. Vom Parkplatz führt ein kurzer Weg bis zum Leuchtturm. Er ist klein, aber hübsch. Hier begegnen sich auch die Tasmanische See und der Pazifische Ozean. An der Strömung wird es sichtbar.



Bei schlechtem Wetter sollen sich am Treffpunkt heftige Wellen bilden. Heute scheint aber wieder die Sonne und der Himmel ist strahlend blau. Die ganze Landschaft drumherum ist ein Gedicht. Hier starten auch mehrere Wanderungen von unterschiedlicher Länge. Durch einen Tipp wird ein sehr schöner DOC-Campingplatz gefunden bei Te Kao. Sehr einsam und direkt am Meer und an einem Fluss.


Die Gelegenheit zum Angeln wird genutzt und der Strand lädt mal wieder zu einem Spaziergang ein. Die Sonne versinkt romantisch im Meer. Zum Abendbrot gibt es heute Reste. Auf dem ganzen Weg war keine Möglichkeit einzukaufen. Man sollte sich bevorraten, wenn es zum Cap gehen soll. Das Resteessen ist aber sehr lecker. Hier ergibt sich zum ersten Mal die Möglichkeit wenigstens eine Hängematte aufzuhängen, um die Nacht im Freien zu verbringen. Ich schlafe in der Hängematte und Kai im Camper.



Zum Glück hat die Hängematte einen Insektenschutz, denn es gibt hier ganz viele Mücken! Während der Nacht kann der Mond beobachtet werden, wie er sich über den Himmel bewegt. Am Morgen fängt es leider an zu regnen.
Mittwoch, den 12.03.2025: Ninety Mile Beach
Der riesige Strand soll heute entdeckt werden. Aber zunächst geht es zu den Te Paki Sand Dunes. Riesige Dünen erwarten ein dort. Wer Lust hat, kann auf einem Board in den Dünen „surfen“.



Nun auf zum Strand. Es ist gar nicht so leicht einen Zugang zu finden. Zunächst sind alle Zugänge privat. Oder sie führen über lange Gravelroads. So einen Zugang erwischen wir. 10 km Gravelroad mit Baustelle und am Ende nicht mal ein geeigneter Parkplatz. Auf den Strand kann man nur mit einem geländegängigen Auto fahren. Ein PKW fährt sich dann auch gleich bei der Auffahrt zum Strand fest und muss aus dem Sand geschleppt werden.






Der Strand ist unendlich lang in alle Richtungen. Es bringt Spaß mit den Füßen in den Wellen zu stehen. Keiner badet. Die Strömung erscheint sehr stark. Richtig schön ist der Strand allerdings nicht. Bei Flut ist er wohl auch sehr schmal und bei Ebbe fahren Autos – nicht gerade langsam – den Strand rauf und runter. Das Vergnügen können wir mit unserem Camper nicht teilen. Einen zweiten Anlauf nehmen wir in Waipapakauri. Hier enden geführte Fahren über den Strand. Hier gibt es einen Parkplatz, aber schon, um den zu nutzen, bräuchte man einen 4-Rad-Antrieb. Wieder stehen wir ungünstig an der Straße und machen ein paar Schritte auf den Strand. So richtig warm werden wir mit dem Ninety Mile Beach nicht. In Kaitaia soll man einkaufen können. Richtig, dort gibt es einen großen Pick´n Pay Markt mit einer Tankstelle. Viel darf nicht mehr gekauft werden – die letzten Urlaubstage sind angebrochen. Einen etwas komischen Campingplatz finden wir heute wieder auf Empfehlung. Die Zufahrt ist für Camper schon herausfordernd und der kleine private Platz ist auch etwas komisch. Hier gibt es einige kleine Trails. Mal sehen, ob wir uns morgen einen kurzen Weg erwandern.
Donnerstag, den 13.03.2025: Anreise Waipu
Die Entscheidung ist gefallen: Hier wird nicht gewandert – wir fahren lieber rüber zur Ostküste nach Waipu Beach. Also geht es gleich nach dem Frühstück die Gravelroad zurück und dann wir der Weg zu den riesigen und jahrtausendealten Kauribäumen eingeschlagen.



Die Zwei haben einen unglaublichen Umfang und sind entsprechend in die Höhe gewachsen. Die gigantischen Ausmaße können mit den Fotos kaum eingefangen werden. Die Kauribäume werden besonders geschützt. Damit die Wurzeln nicht beschädigt werden, führt ein Holzweg in den Wald und zu den Riesen. Bevor der Wald betreten werden darf, müssen die Schuhe gereinigt und desinfiziert werden.



Ein Pilz, der in der Erde lebt, gefährdet die Kauribäume. Die zwei Riesen stehen an unterschiedlichen Stellen und eine kurze Wanderung führt jeweils zu den Bäumen. Der Campingplatz in Waipu Cave ist sehr schön und liegt direkt am Meer. Nur eine Düne muss überwunden werden. Das Wasser ist herrlich und lädt zum Baden ein. Wir haben schon fast wieder Vollmond.
Freitag, den 14.03.2025: Waipu
Zum Ende der Reise ist doch noch etwas Zeit übrig – so bleiben wir noch einen Tag und eine Nacht in Waipu und genießen das Meer. Eine schöne Wanderung kann direkt von Platz in Angriff genommen werden: Der Waipu coastal walkway. Ein sehr schöner Weg entlang der Küste. Zwar nicht sehr lang, aber doch herausfordernd. Wie immer hier in Neuseeland mit Anstiegen, Treppen und klettern über kleinere Felsen.




Was noch fehlte waren die Glühwürmchen. An verschiedenen Orten gibt es Höhlen, in denen Glühwürmchen leben. Eine ist auch hier: Die Milkeyway Glowworm-Farm. Der Eintritt ist schon heftig mit 45 $, aber es war ein schönes Erlebnis.






Die Tropfsteinhöhle ist an sich schon sehr schön und die vielen Glühwürmchen, die endlich sichtbar wurden, nachdem völlige Dunkelheit hergestellt wurde – das war schon sehr beeindruckend. Die Glühwürmchen in der Höhle fliegen nicht, sondern sitzen auf den Felsen und geben ein bläuliches Licht ab. Der Vergleich mit der Milchstraße ist passend. So, noch einmal die Wäsche waschen, damit der Urlaub nicht nach Abgabe des Wohnmobils mit dreckiger Wäsche fortgesetzt werden muss. Ja, tatsächlich nähert sich die Rundreise dem Ende. Wo ist nur die Zeit geblieben? Die fünf Wochen sind wie im Flug vergangen. Daher wird heute zum Abendessen ein gemütliches Lokal in der Nähe aufgesucht: The Cove.



Sehr gemütlich kann auf der Terrasse gegessen werden. Es gibt Hamburger. Einmal mit Fisch und einmal mit Fleisch. Die Portionen sind hier immer reichlich. Noch eine Besonderheit kann beobachtet werden – eine Mondfinsternis. Von einer Bank direkt am Meer wird der Rest das Schauspiels bewundert. Eine Mondfinsternis gibt es auch nicht alle Tage. Wenn es zu Hause mal ein himmlisches Spektakel geben soll, ist es immer bewölkt. Hier kann das Schauspiel am klaren Himmel beobachtet werden.
Samstag, den 15.03.2025: Takapuna – kurz vor Auckland
Ein letzter Morgen, der in diesem Urlaub in Neuseeland am Pazifik in Ruhe beginnt. Das lädt doch dazu ein, den Sonnenaufgang zu genießen.



Um 7.15 Uhr wird das erste Foto geschossen. Auch andere haben sich eingefunden, das Schauspiel zu genießen. Ein kleiner Strandspaziergang in der aufgehenden Sonne wird immer wieder unterbrochen für ein schönes Foto. Auch der Vollmond wird noch einmal fotografiert. Über dem Meer geht die Sonne auf und über Land ist der Mond noch nicht untergegangen. Ein Bad im Meer schließt sich an. Einfach herrlich! Um 10.00 Uhr muss wieder der Platz verlassen werden. Das war immer etwas anstrengend. Auf den DOC-Plätzen war es entspannter. Eine kurze Autofahrt bringt uns bis kurz vor Auckland, nach Takapuna. Hier ist es schon sehr städtisch. Der Platz ist nicht viel mehr als ein Parkplatz, allerdings direkt am Meer. Die Skyline von Auckland ist schon in Sicht. Morgen muss das Auto rechtzeitig abgegeben werden. Heut Abend wurde gepackt. Das sind immer traurige Momente.
Dennoch konnte von hier eine Wanderung unternommen werden. Erst am Strand entlang, dann durch die Vororte bis zum Head Historic Reserve. Von dort konnte eine schöne Aussicht genossen werden.




Anschließend zum Erfrischen noch mal in den Ozean. Diese kleine Anstrengung musste noch einmal sein. Die Fitnessuhr war schon am Meckern wegen der mangelnden Bewegung!
Sonntag, den 16.03.2025: Auckland
Die Rückgabe vom Wohnmobil ging schnell und unkompliziert. Noch ein letztes Foto von unserem Zuhause auf Zeit, das wir liebgewonnen hatten. So traurig. Die Zeit verging viel zu schnell. Zuerst erscheint die Zeit lang, doch dann vergeht sie viel zu schnell.

Die beste Möglichkeit zum Hotel zu kommen ist mit einem Uber. Der Flughafen liegt außerhalb und eine direkte Möglichkeit ohne Umsteigen gibt es mit den öffentlichen Bussen nicht. 50 $ für die Strecke erscheint auch angemessen. Das kleine Hotel ist gemütlich, der Empfang freundlich. Das Zimmer hat eine kleine Terrasse. Kurz auspacken und es geht los mit den Erkundigungen. Zu Fuß ist man wohl am besten unterwegs. Es geht Richtung Hafen und Innenstadt. Der Sky Tower soll heute noch nicht besichtigt werden. Schon bald ist vieles abgelaufen. So atemberaubend erscheint uns die Stadt nicht. Auf jeden Fall ist sie sehr hügelig und zurück geht es immer bergan. Im Hotel gab es viele Empfehlungen für das Abendessen. Auch ein Fish und Chips Imbiss wurde empfohlen. Darauf fiel die Wahl und es gab noch einen Cocktail, wie immer schlecht. Man sollte in Neuseeland vielleicht eine richtig gute Cocktailbar eröffnen.
Montag, den 17.03.2025: Auckland
Das Wetter ist heute richtig schlecht. Nebelig und regnerisch. Da bietet sich der Besuch des Sky Towers nicht an. Trotzdem erstmal wieder die Richtung einschlagen. Mit einer der Fähren zu fahren, lohnt auch nicht. Der Regen nimmt zu. Was tun? Ein Museumsbesuch bietet sich an. Es geht in das Maritime Museum Tatsächlich ist es interessant. Es regnet immer noch. Der eine oder andere Laden wird aufgesucht, aber interessant ist es auch nicht. Also zurück zum Hotel. Auf der überdachten Terrasse kann sich etwas erholt werden. Es ist aber auch schade für die Zeit. Da das Wetter bisher überwiegend sehr gute war, darf man sich jetzt nicht beklagen. Es stellt sich wieder die Frage: Wohin zum Essen? Der Zufallt führt zu einem philippinischen Restaurant. Das klingt interessant und das Essen ist auch sehr lecker!


Dienstag, den 18.03.2025: Auckland
Das Frühstück ist in dem kleinen Hotel sehr lecker. Eine Eierspeise kann gewählt werden, die dann frisch zubereitet wird. Die Frühstückszeiten sind leider recht früh – um 10.00 Uhr ist schon Schluss. Zum Ausschlafen bleibt in diesem Urlaub keine Zeit. Noch ist es trocken, das Wetter soll sich jedoch im Laufe des Tages verschlechtern. Da muss auch früh der Weg zum Sky Tower eingeschlagen werden.




Die Aussicht ist von oben auf die Stadt und über den Ozean ist schon beeindruckend. Auch hier gibt es Flächen aus Glas, von denen in die Tiefe geschaut werden kann. Nichts für Höhenängstliche. Ganz mutige können sich auch vom Turm in die Tiefe stürzen. Ein Waghalsiger springt gerade, aber es geht so schnell, dass man den Wagemut gar nicht bewundern kann. Eine zweite Mutige kommt gerade mit uns unten an. Doch auch hier hört man nur ein kurzes Klirren und alles ist vorbei. 11 Sekunden soll es dauern – 11 Sekunden Todesangst.
Leider behält der Wetterbericht recht und von Einem auf den anderen Moment fängt es an zu regnen und zu stürmen. Das ist auch kein Wetter, um mit einer der Fähren auf eine andere Insel zu fahren. Sehr schade. Auckland ist uns nicht gewogen. Da bleibt nichts, als wieder zum Hotel zurück. Am Abend heitert es wieder etwas auf und Abendessen gibt es bei einem Thailänder. Zumindest die Gastronomie ist gut und abwechslungsreich und bezahlbar. Nun heißt es packen. Morgen früh um 5.00 Uhr klingelt der Wecker und um 6.00 Uhr bringt uns ein Uber zurück zum Flughafen. Eine Woche Südsee bleibt uns noch vom Urlaub.
Dienstag, den 18.03.2025: Rarotonga (Cook Island)
Am 19.03. sind wir in Auckland losgeflogen und 3,5 Stunden später sind wir am 18.03.25 auf Rarotonga gelandet. Wie geht das? Die Datumsgrenze wurde überflogen! Auch mal ein Erlebnis.


Die Sportuhr hat die Schritte vom 19.03. dem 18.03. zugeordnet. So ist es gar nicht aufgefallen, dass am Reisetag viel zu wenig Schritte zurückgelegt wurden. Ob es am Ende dann einen Tag ohne Schritte geben wird? In Rarotonga wurden wir mit Blumengirlande begrüßt – genau so, wie man sich das für eine Ankunft auf einer Südseeinsel vorstellt.



Mit einem Shuttle geht es zum Hotel. Die Unterkunft ist schön. Es gibt wenige Apartments, die in kleinen Häuschen untergebracht sind. Das tollste: Die Dusche ist draußen! Nur wenige Schritte und man ist am Pool und am Meer.


Das Baden hier in der Lagune ist entspannt – das Wasser aber nicht tief. Zum Schwimmen nicht so geeignet. Was für ein schöner Blick: Das Meer und der blaue Himmel der gemütlichen Strandliege. Da fehlt nur noch ein Cocktail, der in der Happy Hour geholt wird.
Aber auch hier: Cocktails können sie nicht wirklich. Das Restaurant am Strand sieht sehr gemütlich aus und das 3-Gänge-Menü ist erschwinglich. Hier soll der schöne Tag ausklingen. Restaurants öffnen am frühen Abend und schließen auch um 21.00 Uhr schon wieder. Schon zu um 18.00 Uhr muss ein Tisch reserviert werden. Das Essen ist sehr lecker und es hat sich gelohnt.



Zur Verdauung wird noch einen kleinen Strandspaziergang unternommen. Der Strand lebt in der Dunkelheit. Krebse und Schnecken sind unterwegs. Die Krebse versuchen sich schnell in ihren Löchern zu verstecken. Dennoch ist es schwierig den Tierchen auszuweichen- insbesondere den Schnecken. So wird es nur ein kurzer Spaziergang. Die Doppelhängematte am Strand lädt jedoch dazu ein, den Sternenhimmel zu bewundern, bis das Bett ruft.

Mittwoch, den 19.03.2025
Der wunderschöne Tag beginnt mit einem „Tropical Breakfast“. Was sich wohl dahinter verbirgt? Tropische Früchte gibt es auch und leckeren Orangensaft. Ansonsten jedoch Toast, allerlei süßes Gebäck und Müsli. Der Kaffee ist lecker und eigentlich reicht es auch. Zur Orientierung, was sich hier in unmittelbarer Nähe befindet und ob es eine gute Möglichkeit für ein Abendessen gibt, wird ein kleiner Spaziergang unternommen.




Ein Stück die Hauptstraße entlang und am Strand zurück. Die feuchte Wärme ist schweißtreibend. Wie gut, dass Meer und Pool nur wenigen Schritte von unserem kleinen Apartment entfernt sind. Die Anlage hier ist schön. Obwohl es auch Wanderwege und sogar einen Wasserfall auf der Insel gibt, wird heute mal entspannt. Strandliegen und Doppelhängematte sind sehr einladend und Pool und Meer laden immer wieder zum Baden ein.


Immer mittwochs gibt es Lunch am Pool mit Rumpunsch – also auch heute. Was für eine nette Überraschung. Hatte sich doch schon ein bisschen Hunger eingeschlichen. Da braucht es am Abend nur noch eine Portion Fish und Chips vom Take away um die Ecke.
Es heißt wieder packen, denn morgen geht es für zwei Tage weiter nach Aitutaki.
Donnerstag, den 20.03.2025: Aitutaki
Ein kurzer Flug mit einem kleinen Flugzeug und schon ist man auf Aitutaki. Hier ist es noch mal wärmer, so der Eindruck.




Das schöne Hotel Tamanu Beach Resort liegt natürlich direkt am Meer, hat einen Pool und verfügt über schöne Appartments.






Der Nachmittag lädt zum Baden und zum Schnorcheln ein. Hier gibt es in Strandnähe kleine Korallenriffe, mit wunderschönen Fischen und auch die Korallen leuchten in schönen Pastelltönen. Am Abend zieht ein kurzer Regenschauer auf. Auch dieses Hotel hat ein schönes Restaurant direkt am Meer. Das Essen hier ist wie immer sehr lecker. Ausnahmsweise schmeckt auch mal der Cocktail. Für morgen ist ein Badeausflug gebucht.


Freitag, den 21.03.2025: Ausflug zum One-Foot-Island
Sonnenschutz ist heute ein Muss! Mit einem Boot geht es zum Schnorcheln und zum Baden auf eine kleine Insel, dem One-Foot- Island.




Ganz ungewöhnlich: Die Schiffsreise beginnt mit einem Dankesgebet für diesen schönen Tag, der uns erwartet. Tatsächlich kann man dankbar sein für diese schönen Erlebnisse und für die schöne Reise, die uns an das Ende der Welt gebracht hat und an der man sich jeden Tag erfreuen kann. Das Wetter ist wieder fantastisch. Der Ozean leuchtet in allen Grün- und Blautönen, die überhaupt vorstellbar sind. Diese Bilder müssen in Erinnerung bleiben. Der Anblick ist so schön – den kann man nicht im Foto festhalten.






Schon bald kann geschnorchelt werden. Große Fische werden gesichtet, die sich aber zum Glück nicht für uns interessieren. Die Fahrt geht weiter und schon wird die kleine Insel gesichtet – das Ziel der Reise. Bei Niedrigwasser kann die Insel von einer vorgelagerten Sandbank zu Fuß erreicht werden und wir haben „low Tide“. Es ist schönes Erlebnis diese Gelegenheit zu nutzen.



Die kleine Insel ist voller Palmen. Unzählige Kokosnüsse liegen am Strand. Sehr schade, dass sie niemand isst. Dafür gibt es ein leckeres Mittagessen.


Frischer Fisch wird gegrillt. Es gibt selbstgemachte Salate und Speisen und viel leckeres Obst. Die Bananen, die auch hier wachsen, sind ein Gedicht. Es kann noch etwas gebadet oder geschnorchelt werden und dann geht es zurück mit Musik. Die Crew kann nicht nur das Boot steuern, grillen und bewirten – sie kann auch singen und Ukulele spielen. So kommen wir froh gestimmt zurück.

Das Salzwasser wird im Pool abgespült und später unter der Dusche. Nach dem leckeren Mittagessen genügt jetzt eine Kleinigkeit. Laut Google soll in der Nähe ein Supermarkt sein. Tatsächlich ist dieser nur ca. 1 km entfernt und es gibt dort kleine selbstgekochte Gerichte, die noch warm sind. Das ist doch ideal. Mit der untergehenden Sonne wird zu Abend gegessen. Und dann fängt es wieder an zu regnen. Was für ein Glück, dass der Tag so schön und sonnig war. Nun darf es auch regnen. Es ist trotzdem warm und die Terrasse bietet Schutz. Es muss auch schon wieder gepackt werden, denn morgen geht es zurück nach Rarotonga – noch einmal in ein anderes Hotel für drei Nächte – das Ende des Urlaubs naht mit großen Schritten.
Samstag, den 22.03.2025: Rarotonga


Nach einem kurzen Flug und einer kurzen Autofahrt kommen wir beim letzten Hotel unsere Reise an. Dieses Hotel ist nicht so schön wie die letzten beiden.

Das ist jetzt aber stöhnen auf hohem Niveau. Wir haben ein Appartment direkt an Meer und einen Pool gibt es auch. Nur das Frühstück befindet sich hier im Kühlschrank. Toast, Butter, süßer Aufstrich und Schnellkaffee.
Leider ist es sehr windig und die Lust zum Baden stellt sich nicht so ein. Wir sind schon sehr verwöhnt. In der Nähe gibt es einen Imbiss für das Abendessen.
Sonntag, den 23.03.2025: Rarotonga
Zur Erkundigung der Insel wird heute ein Motorroller geliehen. Schneller als gedacht ist die Insel umrundet. Einiges Schönes konnte erkundet werden. Direkt beim Hotel gibt es einen Nachtmarkt mit Street Food-Ständen. Hier können auch einheimische Spezialitäten genossen werden. Es ist alles sehr lecker.





Montag, den 23.03.2025: Rarotonga
Der letzte Urlaubstag ist angebrochen. Noch ein bisschen chillen, ein bisschen wandern. Ein paar letzte Mitbringsel werden eingekauft und schon geht auch dieser Tag mit einem schönen Essen in einer Strandbar zu ende. Das letzte Mal wird gepackt – für die Heimreise.
Dienstag, den 24.03.2025.
Am Mittag beginnt unsere fast 50-stündige Rückreise nach Hamburg. Bis zur Abreise kann vom Meer und vom Pool abschied genommen werden.



Die erst Etappe geht von Rarotonga nach Auckland zurück. Nach einem längeren Aufenthalt dort bringt uns ein zweiter Flug nach Singapore. Auch dort ein mehrstündiger Aufenthalt, bevor es nach Frankfurt geht. Von dort bringt uns die DB nach Hamburg und zu guter Letzt noch eine kurze Fahrt mit der U-Bahn. In der Nacht von Donnerstag auf Freitag sind wir wieder zu Hause. Unterwegs wurde ein Tag verloren. Die Datumsgrenze hat wieder zugeschlagen.
Einige Reels zu dieser Reise findet Ihr auch auf Instagram









